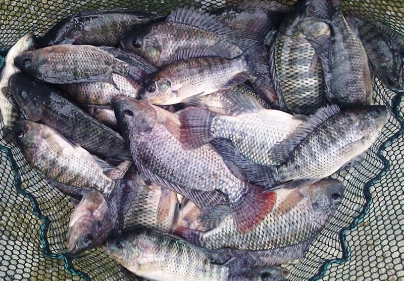
به گزارش خبرنگار حوزه محیط زیست خبرگزاری تسنیم؛ متأسفانه طی سالهای اخیر شاهد اصرار برخی مسئولان محیط زیست و سازمان شیلات برای پرورش ماهی مهاجم تیلاپیا در سطح کشورمان هستیم در حالی که اغلب کارشناسان و صاحبنظران در حوزه محیط زیست معتقدند که این گونه ماهی مهاجم میتواند بهشدت محیط زیست کشورمان را با خطر مواجه کند و از طرف دیگر مصرف آن نیز سلامت مردم را به خطر میاندازد.
بر همین اساس، یکی از سازمانهای متولی امر حفاظت از محیط زیست و جلوگیری از واردات این گونه مهاجم آبزی به آبها و تالابهای کشور، سازمان حفاظت محیط زیست است که چندی پیش احمد لاهیجانزاده؛ معاون محیط زیست دریایی این سازمان، درباره پرورش ماهی «تیلاپیا» بهعنوان گونه مهاجم در آبهای کشور، به خبرنگار حوزه محیط زیست خبرگزاری تسنیم اظهار کرد: این ماهی دارای دو گونه مهاجم و اقتصادی است و در خیلی از کشورها در مزارع پرورش ماهی تولید میشود، چون تولید آن اقتصادی است و در استانهای کویری که فاقد رودخانههای جاری و تالاب هستند، اجازه پرورش داده شده است، شیلات موظف شد که ارزیابی ریسک تولید تیلاپیا را انجام بدهد اما هنوز این گزارش جمعبندی نشده و جز یک مورد پایلوت مجوز دیگری صادر نشده است.
همچنین چندی پیش نیز وبینار تخصصی پیرامون فرصتها و تهدیدهای ماهی غیربومی تیلاپیا توسط انجمن علمی محیط زیست دانشگاه علوم کشاورزی و منابع طبیعی گرگان و با حضور تعدادی از اساتید، صاحبنظران و پژوهشگران در این حوزه برگزار شد که اصغر عبدلی عضو هیئت علمی پژوهشکده علوم محیطی دانشگاه شهید بهشتی با بیان اینکه میزان تهاجم تیلاپیا به مراتب نسبت به دیگر گونههای غیربومی، بیشتر است، اظهار کرد: تالاب شادگان یکی از همین موارد است، در عرض کمتر از 3 سال، تیلاپیای زیلی بیش از 40 درصد ماهیهای تالاب را به خودش اختصاص داده، مردم نسبت به این وضعیت معترض هستند، مردم به این تیلاپیای زیلی نام "داعش" گذاشتهاند! یعنی معتقدند که باید این ماهی را از بین برد و از طرف دیگر معتقدند که آمده همه چیز را نابود کند؛ اینها حرف صیادان و فرماندار شادگان و بسیاری دیگر از افراد است.(اینجا)
حالا، دکتر بهرام کیابی؛ دکترای اکولوژی و مدیریت آبزیان و حیات وحش و از پیشکسوتان حوزه محیط زیست نیز درباره بحرانی شدن وضعیت اکوسیستمهای رودخانهای ـ تالابی کشور گفتوگویی با اعتماد انجام داده که متن کامل آن به شرح زیر است:
**وضعیت اکوسیستمهای رودخانهای کشور چگونه است و ارزیابیتان از این وضعیت چیست؟
وضعیت منابع طبیعی کشور مخصوصا اکوسیستمهای رودخانهای، تالابها و دریاها در شرایط بحرانی است. نشانههای این بحرانها را در رو به انقراض بودن گونههای مختلف ماهیان در شمال و جنوب کشور، خشک شدن تالابها و رودخانهها و هجوم گونههای مهاجم به این مناطق میتوان مشاهده کرد.
**چرا وضعیت این قدر بحرانی است؟
با وجود تلاشهای همکاران دانشگاهی و کارشناسان مرتبط با این موضوع و ایثار و از جانگذشتگی محیطبانان و جنگلبانان برای شناخت و حفظ و حراست از منابع طبیعی و محیط زیست، اما اصرار و پافشاری برخی دستگاههای دولتی مانند «سازمان شیلات» در بهرهبرداری بیش از حد از ذخایر آبزیان، آن هم با روشهای نامناسبی مانند «صید ترال» در جنوب کشور یا صید ماهیان خاویاری تا سرحد نابودی در دریای خزر در کنار ماهیریزی بدون ضابطه در تالابها، مخازن سدها که حاصلی جز پراکنده شدن هر چه بیشتر «گونههای مهاجم» را نداشته، به اسم ماهیدار کردن و توسعه فعالیت صید و صیادی و اصرار در پرورش ماهی مهاجم تیلاپیا به ویژه در کشوری که هیچ کنترلی بر جابهجایی ماهیان در سطح کشور وجود ندارد و آب خروجی مزارع پرورش ماهی به راحتی به تالابها و رودخانهها راه پیدا میکند، مایه حیرت و شگفتی اینجانب است و از علتهای اصلی این اوضاع است. همین وضعیت اینجانب را بر آن داشت تا به شکل صریح، نظر خود را در مورد برخی اتفاقات تلخ اکوسیستمهای آبی کشور که بیش از 37 سال با همکاری و همراهی بسیاری از دانشجویان مورد بررسی قرار دادهام، برای آگاهی جامعه علمی کشور و علاقهمندان به محیط زیست ایران بیان کنم تا شاید قدمی هر چند کوچک برای حفظ باقیماندههایی از تنوع زیستی ارزشمند ایران عزیز برداریم.
**چرا با پرورش تیلاپیای نیل در ایران مخالفید؟
به گواه بسیاری از پژوهشهای صورت گرفته در کشورهای مختلف دنیا، «تیلاپیای نیل» گونهای مهاجم است و یقینا با سیستم ناقص نظارت و مدیریت در سازمان شیلات و محیط زیست ما، این گونه به بسیاری از مناطق و آبهای کشور راه پیدا خواهد کرد و قطعا در برخی مناطق، مهاجم خواهد شد و مانند آفتی غیرقابل کنترل، خسارتهای زیاد و جبرانناپذیری برای اکوسیستم به بار خواهد آورد. اینجانب سالها در کنار کارشناسان محترم محیط زیست و همکاران محترم دانشگاهی تلاش کردیم تا مجوزی برای پرورش این گونه ماهی صادر نشود. آن موقع مدیران وقت تحقیقات شیلات، تیلاپیا را گونهای سبز و دوستدار محیط زیست معرفی میکردند و جالب است که وقتی با تشکیل دولت دوازدهم، ریاست سازمان حفاظت محیط زیست تغییر کرد و از رئیس فعلی، یعنی عیسی کلانتری، موافقت پرورش تیلاپیا در 4 استان مرکزی کشور را گرفتند، حال تازه پذیرفتهاند که تیلاپیا گونهای مهاجم است و سپس از کارشناسان محیط زیست راه علاج و کنترل را مطالبه میکنند.

**سازمان محیط زیست با وجود مخالفت کارشناسان و استادانی چون شما، مجوز پرورش تیلاپیا را در 4 استان مرکزی کشور صادر کرد، چرا؟
این نوع برخورد نمونهای از عدم توجه به نظرات کارشناسی و نداشتن دوراندیشی در مدیریت محیطهای آبی که باید بر مبنای روابط اکولوژیک و اکوسیستممحور باشد، است. علم «ارزیابی ریسک» گونههای مهاجم تأکید میکند «گونهای که ریسک بالای مهاجم شدن دارد نباید وارد یک کشور شود»؛ مخصوصا کشوری که تجربه سالهای گذشته نشان از آن دارد که نه تنها تمهیداتی برای کنترل جابهجایی گونههای مهاجم ندارد؛ بلکه خود با روشهای بسیار ابتدایی و پرخطر، تمامی گونههای مهاجم، غیربومی و بومی را در سطح کشور جابهجا میکند. حاصل این نوع مدیریت، تالابها و رودخانههایی است که همگی آلوده به گونههای غیربومی و مهاجم بوده و از این میهمانان ناخوانده در رنج هستند. نتایج این نوع نگاه، شغل، معیشت و غذای بسیاری از مردم را تحت تأثیر قرار داده است.
**با تمام این خطرها، چرا «سازمان شیلات» در سالهای اخیر، دلیل موافقت خود با پرورش تیلاپیا را «امنیت غذایی مردم» عنوان کرده است؟
برای من خیلی جالب است که دوستان در «سازمان شیلات» صحبت از امنیت غذایی برای مردم ایران با پرورش تیلاپیا میکنند؛ وقتی که این استدلال را در کنار طرحهای شکستخورده «پرورش میگو در گمیشان»، «پرورش قزلآلای رنگین کمان در سیستم pen culture خلیج گرگان»، «پرورش قزلآلای رنگین کمان در قفس در دریای خزر»، «وابستگی استخرهای پرورش ماهی قزلآلای رنگین کمان به واردات تخم چشم زده از خارج از کشور»، «کاهش میزان تولید کپور ماهیان پرورشی در استخرهای خاکی»، «کاهش شدید ذخایر ماهیان اقتصادی در شمال و جنوب کشور» و از همه بدتر«غارت آبزیان خلیج فارس و دریای عمان» و«تخریب گسترده زیستگاه آبزیان توسط کشتیهای صید ترال چینی آن هم به اسم صید فانوس ماهیان برای تولید پودر ماهی»، تصویری تاریک و نشانههایی تلخ از عدم جامعنگری به بهرهبرداری از اکوسیستم در راستای توسعه پایدار است.
**چگونه میتوان همزمان با پرورش و بهرهبرداری از آبزیان، از تخریب اکوسیستمهای دریایی جلوگیری کرد و به اصطلاح، «برداشت پایدار» داشت؟
پرورش آبزیان و بهرهبرداری از منابع آبزی برای تأمین غذا، اشتغال و زندگی جوامع انسانی ضروری است؛ اما اگر بر پایه «علم اکولوژی» و ظرفیتهای اقتصادی و اجتماعی و مدیریت اکوسیستممحور نباشد، حاصلی جز ویرانی، تخریب اکوسیستم و انقراض گونههای ارزشمند، بیکاری و مشکلات اجتماعی نخواهد داشت. وقتی تجربه سالهای دور تا نزدیک را کنار هم قرار میدهم، نمیتوانم تصور کنم که این برنامهریزی و این نوع نگاه به صید و بهرهبرداری و پرورش آبزیان، برای ما امنیت غذایی به همراه بیاورد. نگرانی من بیشتر از آن است که با شعار «امنیت غذایی»، پایداری محیط زیست و منابع آب را که نقش کلیدی در امنیت هر کشوری بازی میکند به خطر بیندازیم. اقدامات منفی، حاصلی نه تنها امنیت غذایی را برای کشور به همراه نمیآورد، بلکه اکوسیستمهای آبی را تخریب کرده، خدمات اکوسیستمی را برای انسان ازبین میبرد و هزاران شغل و درآمدهای پایدار از این اکوسیستمها را نابود میکند. این چیزی است که در این سالها در مورد بسیاری از اکوسیستمهای آبی کشور شاهد بودهایم و یقینا باید در این نگاه و رویکرد، تجدیدنظر کنیم. در غیر این صورت، آیندهای بسیار نگرانکننده را برای کشوری که بیشتر قسمتهای آن خشک و نیمهخشک است و مردم آن علاقهای به مصرف ماهی ندارند و منابع آبی آن اهمیت ویژهای برای این سرزمین دارد، مشاهده خواهیم کرد. شاید به همین علت است که «وزارت نیرو» صریحا با ورود تیلاپیا به مخازن و سدهای ذخیره آب مخالفت کرده است. آیا به راستی «سازمان حفاظت محیط زیست» و «سازمان شیلات» توان کنترل ورود این گونه به آبها و مخازن سدها را دارد؟
**هیچ راهی برای کنترل گونههای مهاجم وجود ندارد؟
اکوسیستمهای آبی کشور ما از مسائل مختلفی رنج میبرد؛ انواع آلودگیها، عدم رعایت حقآبه زیستمحیطی، صید بیش از حد، برداشت شن و ماسه در کنار گونههای مهاجم از عوامل اصلی تهدیدکننده اکوسیستمهای آبی کشور است. همه این موارد دارای راهکارهایی برای بهبود وضعیت اکوسیستمها هستند، اما حذف یا کنترل گونههای مهاجم که اثرات شدید و درازمدتی بر اکوسیستم دارند، بسیار سخت، پرهزینه و تا حد زیادی غیرممکن است. این یکی از دلایل اصلی است که علم اکولوژی و منطق، حکم میکند جلوی ورود آن به اکوسیستم گرفته شود. فکر میکنم وقت آن رسیده است که این نکته مهم را درک کنیم که با اکوسیستمهای آبی که از پیچیدگیهای زیادی برخوردار هستند، نمیتوان با آزمون و خطا و روشهای پرریسک جلو رفت و باید بدانیم که اثرات و پیامدهای برخی تصمیمات و اقداماتی که صورت میگیرد، روی تمامی کشور است و جبران خسارتها و کنترل و مبارزه با آن، سخت و تاحدی غیرممکن است. اصرار اینجانب و بسیاری از همکارانم در مخالفت با ورورد «تیلاپیا» از همین نوع و به همین دلیل بوده است. تلختر از همه آن است که میبینم وقتی که دوست و همکار گرامی جناب آقای دکتر عبدلی، عضو هیئت علمی دانشگاه شهید بهشتی که بیش از 30 سال از عمر خود را صرف شناخت اکوسیستمهای آبی کشور کرده است و حالا در تلاش است تا با پشتوانه تجربیات علمی به دست آمده که حاصل سالها کار میدانی است، جلوی این فعالیتهای مخرب را بگیرد، مورد هجمه و بیاحترامی کسانی قرار میگیرد که باید تلاش کنند تا اگر میتوانند با منطق علمی از طرحهای خود دفاع کنند. به عنوان یک ایرانی از ایشان و سایر همکارانشان که تجربههای چندین ساله علمی و دانشگاهی خود را در اختیار مجلس، قوه قضاییه و سازمانهای دولتی قرار میدهند و تلاش میکنند تا با منطق علمی، جلوی تخریب و نابودی اکوسیستمهای آبی کشور را بگیرند، سپاسگزارم. از نزدیک شاهد هستم و از گذشتهها تجربه کردهام که ایستادن جلوی فعالیتهای مخرب اکوسیستم، که ظاهری زیبا به آن بخشیدهاند و توجیهاتی مانند اشتغالزایی و تولید را عنوان میکنند، کاری بس دشوار و نفسگیر است که قطعا بدون دانش کافی و عشق و علاقه به کشور امکانپذیر نیست. خوشحالم که بعد از 37 سال کار در دانشگاه، نسل جدیدی را میبینم که به تنوع زیستی و حفظ اکوسیستم حساس هستند و برای اینجانب مایه دلگرمی و امیدواری است. امیدوارم سایر همکاران دانشگاهی با بیان دیدگاه خود درباره مشکلات اکوسیستمهای آبی، به حرکت کشور در مسیر توسعه پایدار و بهرهبرداری بهینه از منابع طبیعی اقدام کنند.
انتهای پیام/