به گزارش خبرنگار اجتماعی خبرگزاری تسنیم، قدرت طوفان ایرما در حال حاضر در بالاترین نقطه از یک طوفان درجه دو است و حاوی بادهایی با سرعت 110 مایل بر ساعت ( 177 کیلومتر بر ساعت) است.
بر اساس گزارش mbcnews، مقامات آمریکایی پیش بینی کردند سرعت طوفان ایرما افزایش یابد و بعد ازظهر دوشنبه به شمال فلوریدا و جنوب شرقی جورجیا برسد.
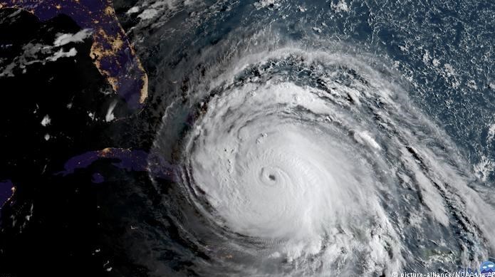
این شبکه تلویزیونی دقایقی پیش در خبری فوری اعلام کرد، طوفان سهمگین ایرما که در ایالت فلوریدا آمریکا شروع به وزیدن کرده با بادهای شدید و باران های سیل آسا همراه است.
در این راستا، شبکه abcnews خبر از اعزام بیش از 300 پزشک و پرستار به اورلاندو خبر داد تا پیش از رسیدن طوفان ایرما در آنجا مستقر شوند.











این شبکه همچنین اعلام کرد: "وزش طوفان ایرما در ایالت فلوریدای آمریکا سبب فروافتادن درختان و به زیر آب رفتن خیابان ها شده است."
وزش طوفان ایرما در ایالت فلوریدا آمریکا سبب قطع شدن برق نزدیک به چهار میلیون نفر شده است.
«مایک پنس»(MIKE PENCE)، معاون رئیس جمهور آمریکا گفت: "طوفان ایرما یک طوفان تاریخی است."
پنس گفت: "باید به خاطر داشته باشیم که این یک طوفان خطرناک است؛ ما از همگان می خواهیم که به هشدارهای مقامات محلی توجه کنند، اگر پناهگاهی وجود دارد در آنجا پناه بگیرند."
مقامات اعلام کرده اند: "ساکنین شمال ایالت فلوریدا هنوز برای تخلیه و دور شدن از مسیر طوفان و پناه گرفتن فرصت دارند؛ مردم باید خطر این طوفان را جدی بگیرند."
«ایرما» در مسیر حرکت خود در منطقه کارائیب بسیاری از جزایر این منطقه را از جمله جزایر مارتین را تخریب کرد.
طوفان در جزایر مارتین سقف بسیاری از منازل مسکونی را از جای کنده و ساختمان های زیادی را تخریب کرده است.طوفان ایرما در منطقه مارتین همچنین تعدادی از قایق ها و خودروها را هم واژگون کرد.
تاکنون در منطقه کارائیب 24 قربانی گرفته است؛ جزایر مارتین که میان فرانسه و هلند تقسیم شده است و ارزیابی ها نشان می دهند که هفتاد درصد از این مجمع الجزایر در اثر طوفان ایرما تخریب شده است.
انتهای پیام/